上海华润虹桥润璟-华润虹桥润璟楼盘详情-最新房价-户型-华润虹桥润景小区环境
扫描到手机,新闻随时看
扫一扫,用手机看文章
更加方便分享给朋友
华润虹桥润璟
售楼处电话:400-870-6009
案场限流 看房请务必提前来电预约登记
开发商:华润置地
联动价:6.95万/平
套数下限:632套
土地面积:约6.3万方
售楼处电话:400-870-6009
首开:264套,其中92平156套,198平108套,总计632套。
车位:904个
容积率:1.2
绿化率:35%
预计面积段:约92、198平
产品类型:纯洋房
预计入市时间:2023年9月
四至范围:东至小涞港、南至规划地块、西至涞浪路、北至小涞浪
项目位置如下
华润置地虹桥润璟(施工建设中)
上海市青浦区涞浪路与谢卫路交叉口北380米
交通配套
交通方面售楼处电话:400-870-6009,项目毗邻轨交2号线徐泾东站(直线距离约1.5公里左右),周边还有10号/13号/2号线西延伸段在建,畅达全城。规划25线距离项目直线约600m,未来出行更加便利。
项目临近沪渝高速、沈海高速、崧泽高架路以及嘉闵高架等主干道,自驾出行还是非常方便,自驾约10分钟左右可以直达上海虹桥站以及虹桥国际机场!
商业配套
商业配套方面售楼处电话:400-870-6009,项目步行可达虹桥核心区繁华商圈,虹桥天地、龙湖天街、虹桥汇等体验式shopping mall环拥,融汇餐饮、精品商超、时尚消费、休闲潮玩等多样化业态,吃喝玩乐购一应俱全。


比邻国家会展中心仅仅1.5公里,总建筑面积147万㎡,世界上最大的建筑单体和会展综合体,入选上海新十大地标建筑之一,它就像一大片叶子,“大虹桥”舒展于它的筋脉中。
教育配套
区域内不仅有英、美、德、法、韩等国际学校(针对外籍人士),还有一所16年一贯制的民办学校青浦世界外国语学校;公立学校则有上海世外教育附属徐和路幼儿园、徐泾幼儿园(上海市一级幼儿园)、徐泾小学(全国示范学校)、徐泾中学等;(注:以上为周边现有教育配套,最终对口以交付后划分为准)。

【低密规划 | 天赋滨水贵壤 臻席洋房住区】【墅质臻壤留白 主城此后难再】作为虹桥商务区主城的留白之地,天赋不可再生的双水岸环绕,接壤西郊墅区臻贵的低密氛围,绿境底色,水岸和韵,择址于此,向外是世界的丰盈,向内是回到久违的自己。
虹桥主城区三年以来,少见约1.2容积率土地供应
售楼处电话:400-870-6009
虹桥商务区核心区的住宅规划只有约5%,目前核心区的住宅土地愈渐少有
(数据来源于搜狐网)
润璟双子,引领全球城市低密人居
前滩荣归,入席世界虹桥磅礴境
以纯粹的、低密的、隐奢的洋房珍藏
在国展双河汇流处
为奔涌归来的心
为更好的上海
构筑一方诗意安放的静界

1.本资料旨在提供相关信息,为要约邀请,不代表出卖人对此作出要约或承诺;
2.相关宣传内容不排除因政府相关规划、规定及出卖人分期规划、未能控制等原因而发生变化;买卖双方的权利义务以双方签订的《商品房买卖合同》及其补充协议、附件等书面文件为准;
3.教育配套信息仅供参考,学校名称、建成时间、开办学性质、办学规模、学位设置、开学时间、招生条件、收费标准及招生区域划定等均存在未确定或者调整的可能,须以政府教育主管部门及校方的最新政策为准;
4.交通配套相关信息、市政配套相关信息等仅供参考,相关宣传内容不排除因政府规划、政策规定及出卖人分期规划、未能控制的原因而发生变化;
5.本资料所发布的内容为2023年7月前的信息,敬请留意最新资料。
10所新学校!徐泾未来三年重点建设项目曝光!
近日,青浦区政府性社会事业设施建设
三年行动计划(2023-2025)
草案发布

西虹桥商务区
作为三大重点区域之一
(青浦新城、长三角一体化示范区先行启动区、西虹桥商务区)
未来三年将建设12项重大项目
西虹桥商务区
01
区域定位
售楼处电话:400-870-6009
西虹桥商务区以会展服务、贸易服务、商务办公、数字经济、创意研发、文化休闲为主要功能,积极承接虹桥中央商务区的功能延伸和配套产业。
02
基本情况
近年来西虹桥商务区公共服务进一步完善,但仍然存在公共服务设施不足、城市品质与主城片区标准存在差距、设施能级较低的短板。社区级公共服务设施规划实施率低,总量和覆盖率均难以满足需求;高等级医疗设施主要依托市场机构,公办医疗资源较少;文体设施存在缺口,已有市级设施本地居民的利用率低,与 15 分钟社区生活圈规划要求差距较大。
03
发展需求
立足虹桥国际中央商务区发展定位,建设高品质宜居的国际化社区,形成由“城市副中心-地区中心-社区中心”组成的公共中心体系,优化提升市、区级公共服务能级水平,强化推动区域发展的动力核作用和辐射能力。
完善社区级公共服务设施配置,构建更加温暖的 15 分钟社区生活圈,各类公共服务设施全面达标。加强市、区级高等级设施建设,重点加强面向长三角服务的区域级文化、体育、医疗及专业型、开放型大学的布局。
04
主要任务
加快规划布局建设西虹桥区域内幼儿园、小学、初中等教育设施,通过新建、扩建等方式解决人口导入地区适龄儿童入学难问题。同时推动重大体育项目落户西虹桥商务区,引进上海国际冰上中心、西虹桥商务区体育公园等项目,推动建设西虹桥社区综合运动场,进一步丰富青浦区大型标杆性体育场地和设施的布局。
05
重点项目
经梳理售楼处电话:400-870-6009,2023 年-2025 年西虹桥商务区拟建设社会事业类重大项目共 12 项,其中教育领域 10 项,养老领域 1 项,体育领域 1 项。
世界外国语学校改扩建

华润虹桥润璟售楼处电话:400-870-6009,青浦区世界外国语高级中学位于西虹桥商务区,总占地面积2.6万平方米,建筑面积为5.8万平方米,建筑单体包括高中部、融合部、体育艺术综合楼、教育创新实践综合楼、地下机动车库等。预计2024年9月正式启用,将为青浦教育注入新活力。美的、世外...徐泾这些「重大项目」新进展曝光!

学校建筑风格融合现代与新古典建筑元素,整体采用米白色石材与古铜色金属相结合。教育空间设计打破传统教学单元的布局模式,将普通教室与专业教室同层设置,提高教室使用便利性,扩大内廊,满足展览、阅读等功能,利于丰富教学空间体验。建造知识阶梯广场、世界眼广场等,打造灵活多变的教学场所。

徐泾南部九年一贯制学校

建设单位∶上海市青浦区校产管理中心
售楼处电话:400-870-6009
工程名称∶青浦区徐泾镇房产学校新建工程
建设用地位置:东至西徐联路,西至太保桥路,南至倪家角路,北至徐泾房产幼儿园及专用基础教育设施的交通集散广场用地
规划用地性质∶基础教育设施用地
建筑高度:最高建筑高度18.5米
建筑工程性质∶ 教育建筑
用地面积∶41450.70平方米
总建筑面积∶23401.96平方米,其中计容建筑面积20001.87平方米
地下建筑面积∶2635.19平方米
容积率∶ 0.48
建筑密度∶ 21.7%
绿化率∶ 35.0%
徐泾北大居28-04地块新建幼儿园
建设单位:上海徐泾城建发展有限公司
工程名称:青浦区徐泾北大居28-04地块幼儿园新建工程项目建设
用地位置:青浦区徐泾镇,东至经七路,南至纬七路,西至规划绿地,北至规划绿地徐泾这所新学校何时才能竣工?
用地性质:幼托用地建筑高度:屋顶最高高度14.6米
建筑层数:地下一层,地上三层建筑
工程性质:幼儿园及相关配套
售楼处电话:400-870-6009
用地面积:8520.7平方米(约10.8亩)
容积率:0.79
建筑密度:29.88%
绿地率:35.01%

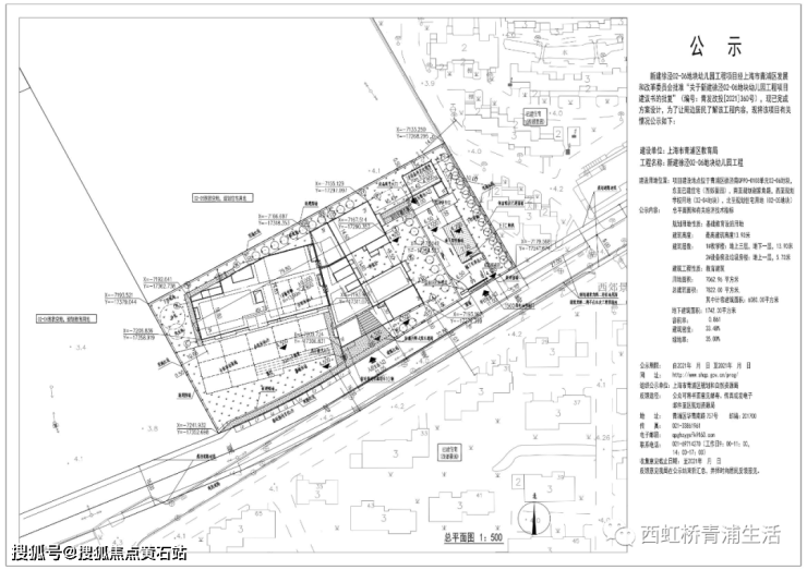
新建徐泾02-06地块幼儿园

02-06地块幼儿园位于沪青平公路南侧,目前在建,东至西郊景园,南至规划谢家角路,总建筑面积7822.00平方米。预计明年9月投用。
大概位置
徐泾北大居26-05地块幼儿园

建设单位:上海徐泾城建发展有限公司
工程名称:青浦区徐泾北大居26-05地块幼儿园新建工程规划
用地性质:幼托用地
建设用地位置:青浦区徐泾北大居26-05地块
四至范围:东至26-04地块;南至26-07地块;西至 居泾路;北至26-04地块
本期建筑层数:地上3层,地下1层(局部)
本期建筑规划高度:14.66米(室外地坪至大屋面女儿墙)
建筑工程性质: 幼儿园
建筑基地面积:7240.1平方米
总建筑占地面积:2260.00平方米
总建筑面积:7962.00平方米
售楼处电话:400-870-6009
其中地上建筑面积:5872.00平方米
地下建筑面积: 2090.00平方米
总建筑计容面积: 5792.0平方米
容积率:0.80
建筑密度:31.22%
绿化面积:2545.0平方米
绿地率:35.0%

据悉,该幼儿园
位于远洋虹桥万和源旁
徐泾北大居30-01地块小学
建设单位:上海徐泾城建发展有限公司
售楼处电话:400-870-6009
工程名称:徐泾北(华新拓展)大型居住社区30-01地块小学新建工程
建设用地位置:东至泾茉路、西至泾居路、南至尚涵路、北至尚茂路
规划用地性质:社区级教育用地(Rs4)
建筑高度:主要教学用房18.75米、17.55米
建筑层数:主要教学用房地上4层、3层,辅助房地上1层,地下车库地下1层
建筑工程性质:小学及相关配套
建筑用地面积:26643.5平方米
总建筑面积:21023.67平方米(其中计容面积17082.10平方米),其中地上建筑面积17224.74平方米、地下建筑面积3798.93平方米
容积率:0.641
占地面积:6850平方米
建筑密度:25.7%
绿地面积:9325.8平方米
绿地率:35%
售楼处电话:400-870-6009
机动车位:80个(地面2个,地下车库78个)、非机动车:150个
预计2024年6月白胚交付

徐泾B6-02幼儿园

建设单位:上海市青浦区教育综合事务中心
工程名称:青浦区徐泾镇双联路B6-02地块(幼儿园)项目
建设用地位置:青浦区徐泾镇B区一期B6街坊,东金字圩路、西B6-01地块、南双联路、北B6-01地块
规划用地性质:幼儿园用地
建筑高度:最高高度14.85米
售楼处电话:400-870-6009
建筑层数:地上最多三层,地下一层
建筑工程性质:幼儿园
用地面积:7093平方米
总建筑面积:7851.12平方米,其中地上建筑面积5688.38平方米、地下建筑面积2162.74平方米
计容建筑面积:5673.87平方米
容积率:0.8
建筑密度:29.28%
绿地率:35%

西虹桥45-11幼儿园
建设单位:上海市青浦区教育综合事务中心
工程名称:青浦区西虹桥沪青平公路北侧45-11(幼儿园)地块项目
建设用地位置:青浦区徐泾镇6街坊东至45-12地块,西至蟠和路,南至45-12地块,北至徐泾港
规划用地性质:幼托用地
建筑高度:最高建筑高度13.35米
建筑层数:地上最多三层,地下一层
建设工程性质:幼儿园
售楼处电话:400-870-6009
用地面积:6540.4平方米
总建筑面积:7714.41平方米,地上建筑面积:5523.42平方米、地下建筑面积21910平方米
计容建筑面积:5232.32平方米
容积率:0.8
建筑密度:30%
绿地率:35%
据悉,该幼儿园为12班幼儿园
售楼处电话:400-870-6009
其中9个幼儿班,3个托班
大概位置
西虹桥52-22小学
52-22地块售楼处电话:400-870-6009,今年8月批复的上述“情况表”展示为小学,而已批复的上位规划显示为初中。根据此前官方的信访回复,该地块将作为09-10地块小学的替代方案,优先予以启动建设。
华润虹桥润璟
售楼处电话:400-870-6009
案场限流 看房请务必提前来电预约登记
声明:本文由入驻焦点开放平台的作者撰写,除焦点官方账号外,观点仅代表作者本人,不代表焦点立场。
